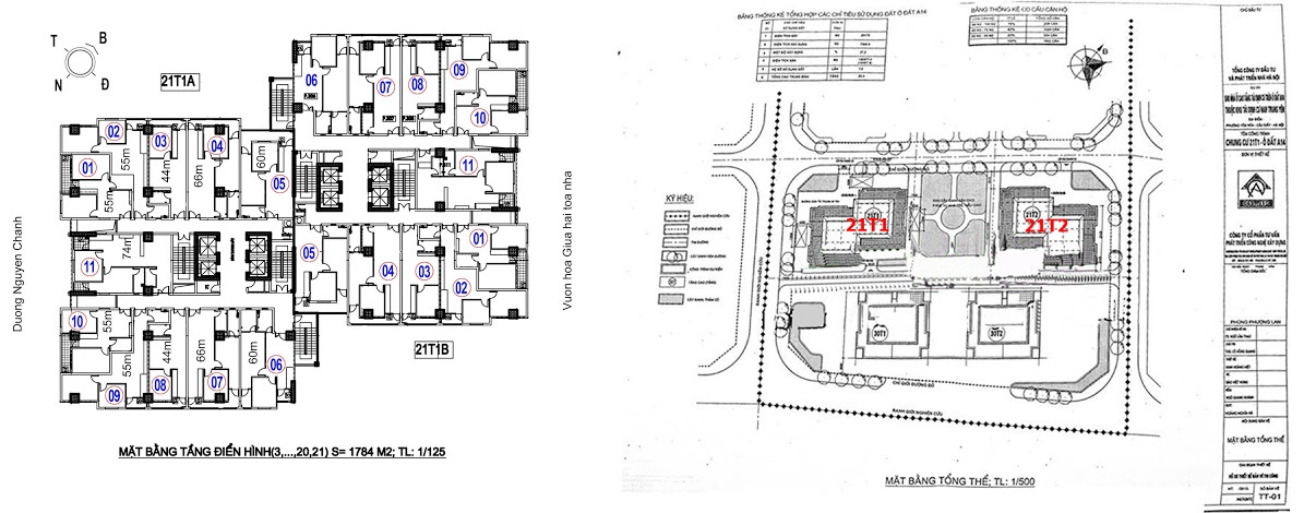
TỔNG QUAN KHU ĐÔ THỊ NAM TRUNG YÊN

- Dự án: KĐT Nam Trung Yên
- Chủ đầu tư: Tổng công ty ĐT- PT nhà Hà Nội (HANDICO)
- Tổng diện tích: 53.922 m2
- Vị trí: phường Yên Hòa - Q.Cầu Giấy – TP Hà Nội
- Tổng diện tích: 7.520 m2
- Diện tích sàn xây dựng: 153.300 m2
- Quy mô: 4 tòa nhà
- Chiều cao: 21 - 37 tầng
- Mật độ xây dựng: 37,3%
- Loại hình sản phẩm: căn hộ chung cư
- Số lượng: 1.642 căn hộ
- Quy mô dân số: 7.000 người
- Khởi công: 9/2003
- Bàn giao: tháng 5/2012
- Đại Lý Phân Phối: CÔNG TY CỔ PHẦN BẤT ĐỘNG SẢN EXPRESS